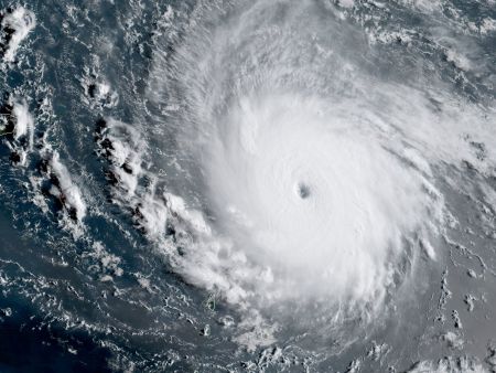
FLN Wishes Everyone Well And Safe From Irma
September 8, 2017 | Lee Roggenburg | Across The LAX World, Featured Posts, Florida Lacrosse News, Lee’s Corner
This will be my last article for now as we wait for Irma to hit this weekend.
All of us at FLN hope to be back with you as soon as possible, which will likely coincide with when I am back wi…